O furacão Melissa deve atingir também Cuba, nas próximas horas. O governo do país já mobilizou as forças armadas para operações de recuperação, resgate e limpeza. O furacão Melissa avança em direção a...
O Exército de Israel acusou a Força Interina das Nações Unidas no Líbano (FINUL) de ter derrubado um de seus drones usados para operações de inteligência no sul do Líbano....
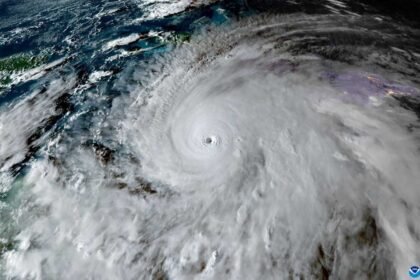
O furacão Melissa atingiu sua força máxima no Caribe, de acordo com o Centro Nacional de Furacões dos Estados Unidos (NHC, na sigla em inglês), que prevê “ventos devastadores” e “inundações catastrófi...
Organizações de direitos humanos afirmam que o grupo paramilitar RSF cometeu atrocidades em massa ao tomar a cidade sitiada ao norte de Darfur. Tem-se receio de que milhares de pessoas tenham sido ass...
O presidente dos Estados Unidos (EUA), Donald Trump, reuniu-se com o imperador do Japão, Naruhito, nesta segunda-feira, no primeiro compromisso oficial da agenda do republicano em Tóquio, em meio à su...
Após meses de incertezas, incluindo uma derrota nas eleições legislativas da província de Buenos Aires em 7 de setembro, escândalos de corrupção e uma crise econômica que exigiu a ajuda de Donald Trum...
Sirikit, rainha emérita da Tailândia, faleceu na última sexta-feira (24), aos 93 anos. A informação foi divulgada pelo Palácio Real do país asiático. A monarca, mãe do rei Maha Vajiralongkorn, estava ...
O Governo Trump anunciou nesta sexta-feira (24), sanções ao presidente da Colômbia, Gustavo Petro. A sanção aplicada bloqueia os bens do presidente, de sua esposa, e de um de seus filhos. Afim de just...
A Rússia afirmou nesta quarta-feira (22) que realizou um grande exercício militar com armas nucleares. O anúncio foi feito um dia depois dos Estados Unidos informarem um adiamento nos planos para uma ...
Após rumores e incertezas com o futuro, o chanceler da Argentina, Gerardo Werthein apresentou oficialmente a sua renúncia ao presidente Javier Milei na noite da última terça-feira (21), de acordo com ...










